Fishing and Eating ‘Raó’, the Pearly Razorfish that is the Catch of the Season
One of the aspects I love most about living here is that prioritising pursuits of pleasure is a fundamental aspect of the local lifestyle. Even during the intense summer months, having the freedom to enjoy what matters most to you is not sacrificed entirely for work.
September marks a seasonal shift on the island in many ways as the weather and schedules change, so too do the fruit, vegetables and fish that are ‘in season’ at this time of year.
Sustainable Fishing in Menorca
Fishing is a favourite activity of many in Menorca. Both commercial and recreational fishing are controlled quite heavily in an attempt to respect and maintain the quality and population of the sealife that surrounds the island. It’s a delicate balance between protecting the ecosystem with sustainable fishing practices and supporting the livelihood of the locals who fish for a living and have to deal with the inconsistency of the occupation and weather conditions. Keeping a balance between these two factors is not always easy.
As Menorca is a Biosphere Reserve, it’s necessary to support the rich and unique underwater world one that gives us both the shades of Menorca blue that we love and the exquisite seafood dishes that form a part of the island’s cuisine.
The practice of ‘Catch & Release’ fishing is also increasingly popular amongst the locals who enjoy recreational fishing with friends to catch the larger breeds but then return the fish back to the sea.
The annual cyclical nature of seasonal fishing means that different fish and shellfish are allowed to be caught at different times of the year. There are also size specifications to ensure that species reach maturity and breed during their time to do so.
Two of the most in-demand jewels of the Mediterranean treasure chest are Lobster, as the soup ‘Caldereta de Langosta’ is the signature dish of the island, and Pearly Razorfish, known locally as Raó. The 31st of August signals the end of Lobster season, and the 1st of September signals the start of the fishing season for ‘Raó’.

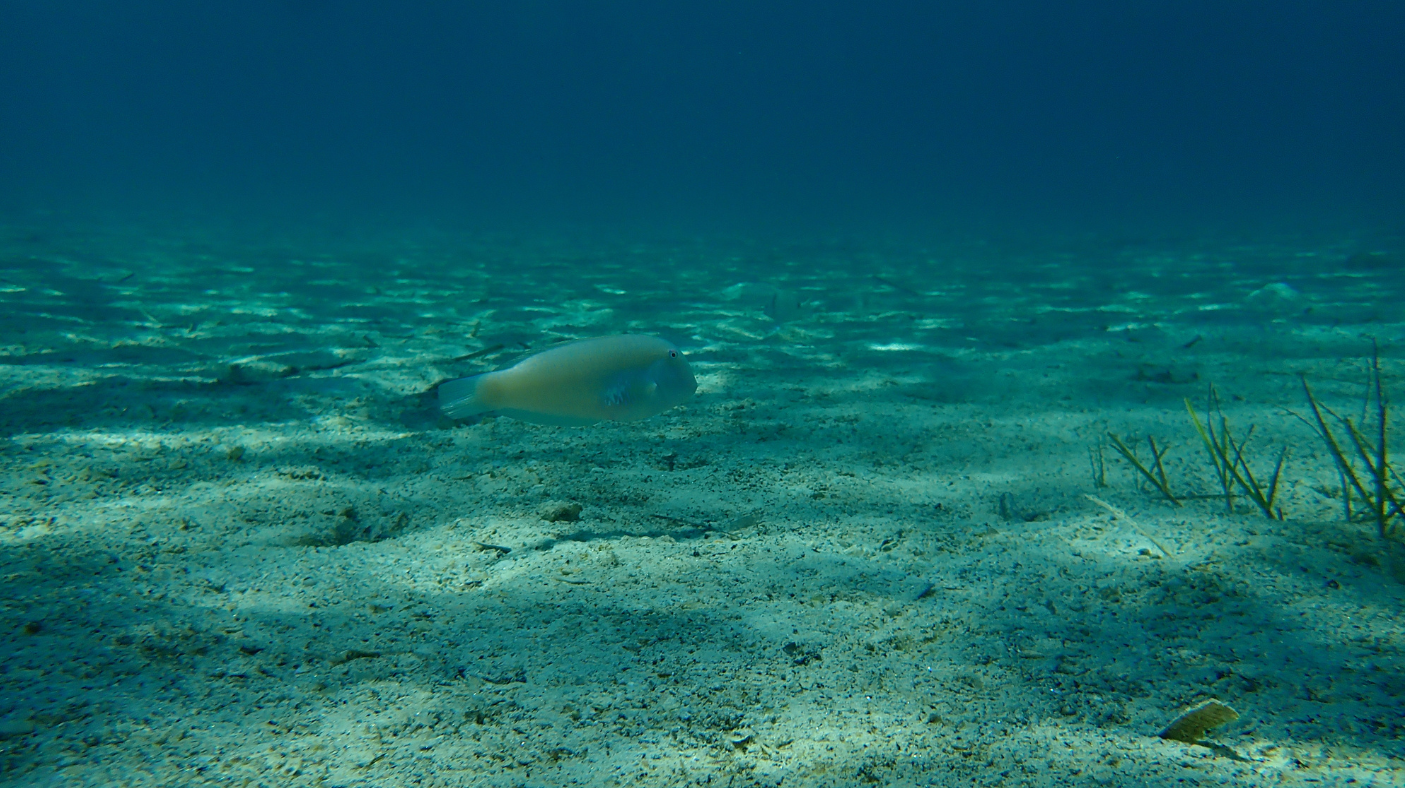
September Starts with Raó, the Pearly Razorfish
Fishing ‘Raó’ is a highlight of the year due to the very limited season when you are permitted to catch them, and also the challenge of mastering the technique. Like many of the different species you also need to go offshore and know where to find them.
These small, bright pink, flat fish are found in the Mediterranean Sea and also in parts of the Atlantic Ocean. The vast majority are pink which is the female, the males are larger and have a light blue colour. Raó are a hermaphroditic species; all fish are born female and change to male in adult life when they reach a length of 17cm. The blue-toned males have a maximum length of 30cm and can live up to 7 -8 years if they are lucky not to be caught by a skilled local fisherman!
These Pearly Razorfish live not too far offshore, in a sandy seabed free of rocks and plants with a maximum depth of 40m. This is because when threatened they dive into the sand to protect themselves. As attractive as they are, they are aggressive fish with a fine set of vampire-style fangs who wrestle and put up quite a fight. A mighty little fish with a strength that resembles one much larger, which is why it’s a fisher’s conquest.
Buying & Cooking Raó
Due to the scarcity of Raó and the limited fishing season, the price of the fish can vary greatly depending on its availability and can be priced up to €100/kg.
Easy to clean, cook and eat as they don’t need descaling, Raó are best enjoyed on their own lightly fried in sunflower oil.
There are many other breeds found around the island and a variety of traditional and modern local dishes to discover and enjoy. As a lover of both ‘Marisc’ i Mar’ (Seafood and the sea), like the locals I am as passionate about protecting sea life as I am about occasionally snorkelling and savouring a fresh catch of the day for lunch.

FINDING AND EATING LOCAL FISH & FISHING IN MENORCA
- The two main fish markets in Menorca are in the centre of the historic centres of Mahon and Ciutadella. They are open only in the mornings, usually until around 1.30pm. The earlier you get there the more choice there is of fish and sellers from the different local boats that go out each day. Buying fish at these markets, and the surrounding speciality shops and cafes support local businesses which is vital for island life.
- As a second option, some local fish and shellfish can be bought at supermarkets, and are usually marked with either the location where it was caught or the purple, yellow & red Balearic Flag so you know it’s local. The general standard across the whole island is excellent.
- Local fishing businesses also supply restaurants. Again the general standard across the island is excellent and there are fantastic restaurants specialising in local dishes in each town. Check online reviews based on your location; one of our family favourites is Mr Jaume in Cala Bosch Marina for fish and seafood platters and tapas.
- Anyone over 14 needs a permit for recreational fishing which can be obtained from CIME, el Consell Insular de Menorca. Fishing is only permitted on the rocks of the coastline or offshore.
- There are two large coastal areas that are restricted Marine Reserves. Within these reserves, fishing is restricted or prohibited, yet they make for fantastic snorkelling spots as the fish are much larger and varied, and the Posedonia sea grass and other plant life are thriving.
 The northern reserve starts in the west just after Algaiarens/ La Vall and continues East encompassing the coast and including the bay of Fornells. The South Eastern reserve spans from the southern tip of the Port of Mahón, encompasses the Isla del l’Aire and ends in the west towards Binibèquer.
- For serious enthusiasts, fishing excursions are available from all three Ports on the island in Ciutadella, Fornells and Mahón with local fishermen. Like boat hire they are subject to weather and fishing conditions of the season. Searching online for ‘Excursions de Pesca Menorca’ o ‘Pesca Turismo Menorca’ will bring up some location-based results with information and contact details.
September is the perfect time to go out on a local sea-faring adventure. The water is still warm for snorkelling if fishing isn’t your thing… remember you can also find the best catch back at a restaurant table waiting for you. ‘Sort i bona ventura!’, means good luck and enjoy the adventure!
 
					 
			 
					 
						 
																	 
																	 
																	 
																	 
																	 
																	